The Lost Ladybug Project
Home
Participate
Kid's Page
News & Notes
Ladybug Learning
LLP Data & Mapping
Links
Upload Photos
About Us
|
Contact Us
LLP DATA & MAPPING
Data and Mapping
Contributors List
Summary Page
Contributors
< back
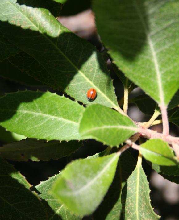
Species:
Coccinella californica
Spotter:
Robyn O'Leary
Country:
United States
State:
California
City:
Avila
Date (yyyy-mm-dd):
2010-5-12
Habitat:
Bushes/Shrubs
Host plant:
none
How collected:
Other...
Copyright © 2009 |
Terms and Conditions
| site by
NEXT